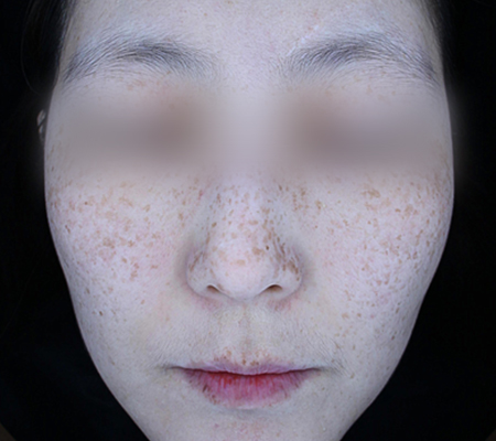
자외선, 호르몬, 피부 장벽 약화 등 다양한 요인으로 인해 복합적으로 나타납니다.
특히 색소 문제는 피부 톤을 칙칙하게 만들고
얼룩진 인상을 형성해 얼굴 전체의 균형과 생기를 흐릴 수 있습니다.
더원의원에서는 개인 피부 상태와 원인을 세밀히 분석하여
기미·잡티·홍조 등 각 색소 문제의 특성에 맞춰 단계별 관리를 제공합니다.
레이저, 미백, 집중 케어 등 다양한 접근을 통해
피부 톤을 균일하게 하고 자연스러운 생기를 회복할 수 있도록 합니다.




THE ONE SKIN CLINIC
피부 속 색소는 위치와 깊이에 따라 종류가 다르기 때문입니다.
따라서 피부 속 색소 깊이와 종류를 고려해
다양한 레이저 장비를 갖춘 피부과에서 치료받는 것이 효과적입니다.

표피 색소
색소가 피부 표피층에만 자리한 형태로
주로 갈색 계열을 띠고 있습니다.
겉으로 진해 보이지만 색소가
표피에만 국한되어 있어
치료를 통해 개선 가능합니다.

진피 색소
진피층에만 자리한 색소로
흐린 회색이나 연한 갈색을 띠고 있습니다.
피부 깊숙이 자리하고 있어
색소가 쉽게 사라지지 않으며
지속적인 치료와 관리가 필요합니다.

혼합형 색소
표피형, 진피형 색소가
혼합되어 나타나는 형태로
보통 동양인에게
많이 나타나는 유형입니다.
THE ONE SKIN CLINIC

POINT 01
마크뷰 진단으로 개인별 피부 타입 진단/분석
색소 종류와 깊이, 혈관의 분포 등 개인별 피부를
마크뷰 촬영장치를 통해 객관적으로 진단하여
치료 방향을 결정하며 전문적인 상담을 통해 생활습관 관리,
재생솔루션까지 포함한 토탈 케어시스템을 운영합니다.
POINT 02
멀티 레이저 조합 치료
색소 깊이, 크기, 유형에 맞춰
복합 파장의 레이저를 정밀 조합하여 시술합니다.
다양한 레이저 장비들을 갖추고 있으며
목적과 특성을 고려해 신뢰도 높은 사양의 장비를
적절히 선택하여 시술에 활용하고 있습니다.


POINT 03
맞춤형 레이저 전후 관리 시스템으로
복합 치료 효과 극대화
레이저 치료 전 미백관리 및 각질관리로 레이저 치료 효과를
극대화 하고 치료 후에는 진정 및 수분관리를 통해
피부장벽을 튼튼하게 하여 피부결도 좋게 합니다.
THE ONE SKIN CLINIC
나만의 피부를 위한 특별한 선택
더원의원
색소/홍조 케어
THE ONE SKIN CLINIC

WHY, THE ONE?